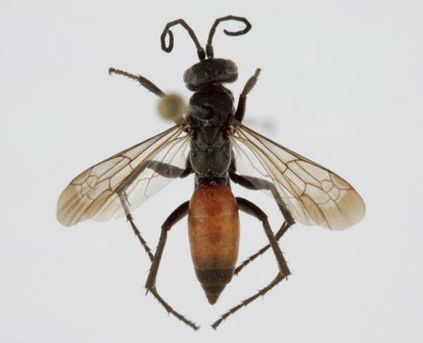
Species Detail - Arachnospila spissa - Species information displayed is based on the dataset "Wasps of Ireland".
Terrestrial Map - 10km
To add this map to your own website, copy and paste the code shown below to your site's HTML. To customise the size of the map you may change either the width or the height attributes to a specific size in pixels i.e. height="250px". Do not however change both width and height since you may distort the map. Simply change either width or height and the map will then automatically scale to the correct size.
                                    <img src='https://maps.biodiversityireland.ie/Species/TerrestrialDistributionMapWebSize/55940?datasetId=356' alt='Arachnospila spissa (Wasps of Ireland)' height='auto' width='auto'/>
                                
                            Terrestrial Map - 10km
Distribution of the number of records recorded within each 10km grid square (ITM).Marine Map - 50km
To add this map to your own website, copy and paste the code shown below to your site's HTML. To customise the size of the map you may change either the width or the height attributes to a specific size in pixels i.e. height="250px". Do not however change both width and height since you may distort the map. Simply change either width or height and the map will then automatically scale to the correct size.
                                    <img src='https://maps.biodiversityireland.ie/Species/MarineDistributionMapWebSize/55940?datasetId=356' alt='Arachnospila spissa (Wasps of Ireland)' height='auto' width='auto'/>
                                
                            

